000386【成田市】(仮称)成田市囲護台三丁目ドクターズレントハウス/成田駅徒歩8分
000386【成田市】(仮称)成田市囲護台三丁目ドクターズレントハウス/成田駅徒歩8分
・成田駅近くのレントハウス形式の医療モール、大通りに近い好立地
・面積、レイアウト相談可能
・調剤薬局併設、駐車場完備
※2026年6月、薬局・泌尿器科クリニック開業予定
- 物件番号
- 000386(お問い合わせ時に必要です。)
- 物件情報
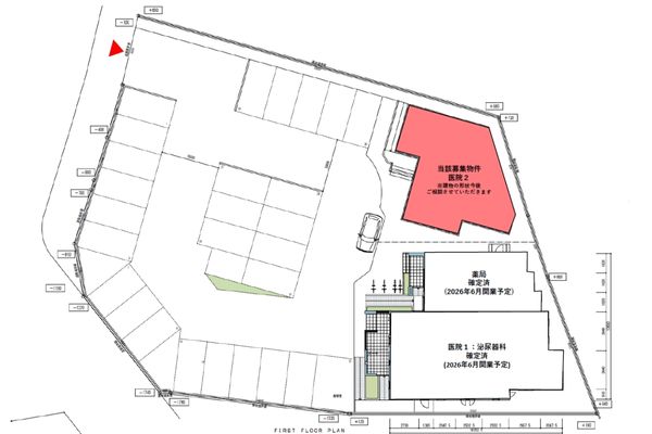
- 医療モール計画
- 最寄り駅
- JR総武本線「成田」駅 徒歩8分
- 所在地
- 成田市囲護台三丁目12番3、12番4の一部(地番)【地図表示】
- 形態
- 医療モール
- 募集科目
- 循環器内科・呼吸器内科・耳鼻咽喉科等
- 面積
- 約1301㎡ (約393坪の一部)※40~45坪 相談可能
- 賃料
- 賃料:坪10,000円を目安
- 入居時期
- 応相談(2026年6月泌尿器科、薬局 開業予定)
お電話でのお問合せ先:0120-18-3162シャープファイナンス プラットフォーム事業推進室
受付時間 : 月曜~金曜日 10:00~17:00 《ただし、祝日など弊社休業日を除く》



